四台村村民委员会、村民:
为规范征地程序,加强征地管理,切实维护被征地者的合法权益,根据《中华人民共和国土地管理法》、《中华人民共和国土地管理法实施条例》等法律、法规和有关规定,现将项目建设用地拟征地有关事项告知如下:
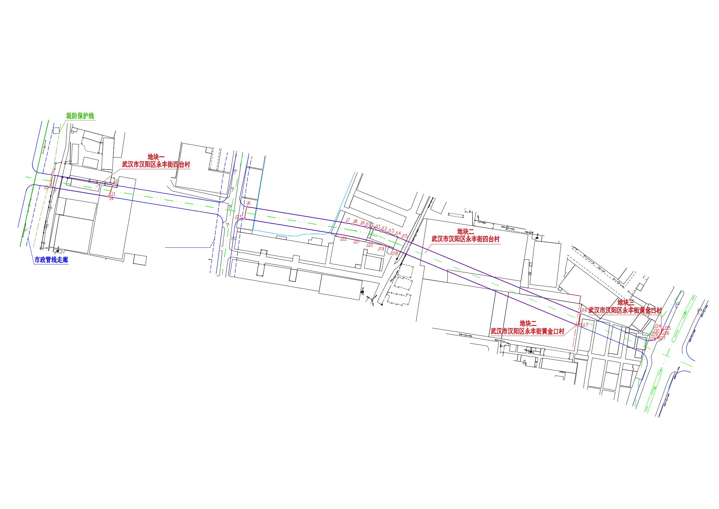
一、土地征收范围:汉阳区四台村(详见附图)。
二、征收目的:该项目是为完善黄金口工业园西北片区基础设施的重点项目,在城镇开发边界内,符合土地利用总体规划。
三、征收土地现状:总面积0.7493公顷。
四、自征收土地预公告发布之日起,任何单位和个人不得在拟征收土地范围内抢栽抢建;对违反规定抢栽抢建部分不予补偿。
五、本征收土地预公告发布后,武汉市汉阳区人民政府 永丰街办事处将组织对拟征收土地进行现状调查,内容包括土地的位置、权属、地类、面积以及农村村民住宅、其他地上附着物和青苗等的权属、种类、数量等情况。请被征地的农村集体经济组织、相关权利人予以配合,并在《拟征收土地现状调查结果确认表》上签字或盖章予以确认。
六、本征收土地预公告发布后,武汉市汉阳区人民政府 永丰街办事处将开展被征地农民养老保险调查,被征地农民养老保险调查应当查明被征地农民身份、年龄、户籍、参加基础养老保险状态,是否符合享受养老保险补偿条件等情况。养老保险调查结果应当经被征地农民确认。
武汉市汉阳区人民政府
2024年2月22日

扫一扫在手机上查看当前页面